前面的那个叫“米娜”,先到的,已经在广东那边搞了一摊子事,又是暴雨又是洪水的,可惨了,珠三角,浙江,福建,到处淹水。

大家还没缓过神来呢,西北太平洋那边,又出现了两个家伙,一个是“桦加沙”,一个是“浣熊”,名字倒是挺可爱的,可是威力,一点都不可爱。

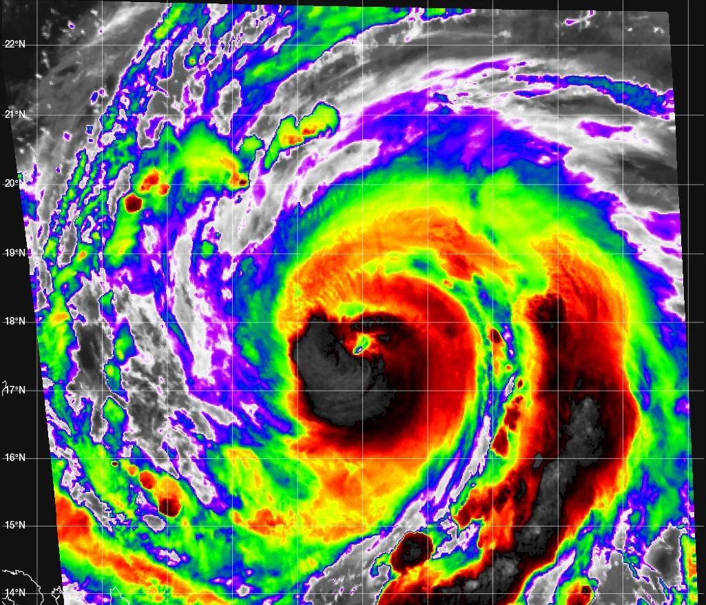
“浣熊”先发力,很快就有了自己的台风眼,直接变成超强台风了,那个劲头,不得了,可是,“桦加沙”呢,体积更大,虽然一开始慢吞吞的,但它那边的海洋热量也好,大气环流也好,反正就是各种条件,都比“浣熊”好,专家们都说,“桦加沙”肯定要超过“浣熊”,变成2025年全球的风王,最厉害的时候,风力可能达到17级,甚至是更强,真的是,想想都吓人。

后来,“桦加沙”就按照那个套路,副热带高压压着它,往西北偏西走,大家都捏着一把汗,就怕它撞到珠三角沿海,或者粤西、海南北部那边,要是真撞上了,那可真是要了命了,有人说,它可能成为2018年“山竹”之后,对珠三角影响最大的台风,甚至有可能超越“山竹”,那“山竹”大家是见识过的,真家伙,太可怕了。

到底会怎么样,谁也说不准,关键就看这三个地方,一个是它怎么过巴士海峡,要是啥事没有就过去了,那威力就小不了,超过“山竹”的可能性就大了,可要是它碰到了台湾岛或者吕宋岛,被那些个高山削弱一下,那还好点,第二个,就是看冷空气什么时候南下,要是它在冷空气来之前就登陆了,破坏力比“山竹”还要厉害,第三个,就是看它自己有多厉害,前期越强,走得越偏北,越是靠近珠三角,就越麻烦,影响越大,所以,谁也不知道最后究竟会怎么一回事。

要是它真的一点损伤都没有,就过了巴士海峡,巅峰强度又达到了“山竹”的级别,还紧贴着香港南部过去,那风雨影响,肯定超过“山竹”,到时候,真的是不敢想象啊,想想都觉得,哎,要完蛋。

东南沿海,特别是广东、香港、澳门这些地方,都得小心,要准备最高级别的防御,福建、台湾沿海,也得顶住大风,江浙沪那边,可能会因为台风的倒槽,下很大的雨,唉,真的是,人在自然面前,太渺小了,大家都在想,这到底是怎么一回事呢,为什么老是要来这一出。

那时候,我记得大家都开始抢购东西,超市里人山人海,水啊,泡面啊,手电筒啊,都卖疯了,每个人脸上都写满了焦虑,可是在那种环境下,谁能受得了,谁又能真正冷静下来呢,只能祈祷,希望台风不要太厉害,希望一切都能平平安安的过去,可这话说起来容易,做起来难啊,大自然发怒,谁又能控制得了呢,很多人看完这个故事,都会去想,如果自己身处其中,会怎么办吧,也许,这就是警钟,提醒我们,敬畏自然,才是最重要的。
